小学校徒歩10分以内の東京都の土地購入情報(2ページ目)
周辺施設から物件を探したい方へ。東京都の小学校徒歩10分以内の土地を集めました。
NEW
7日以内に新着物件が40件公開されました。
新着情報をメールで受け取りたい方は
NEW
売地



国立市谷保 1区画
4,780万円
建築条件無し
国立市谷保 / 中央本線 国立駅 バス19分 国立府中インター入口 停歩5分
121.05㎡ / 建ぺい率40% / 容積率80%
NEW
売地



八王子市子安町1丁目 土地
4,480万円
建築条件無し
オープンハウス
八王子市子安町1丁目 / 中央本線 八王子駅 徒歩7分
68.16㎡ / 建ぺい率80% / 容積率300%
NEW
売地



八王子市並木町 土地
5,100万円
建築条件無し
オープンハウス
八王子市並木町 / 中央本線 西八王子駅 徒歩11分
141.23㎡ / 建ぺい率60% / 容積率200%
NEW
売地



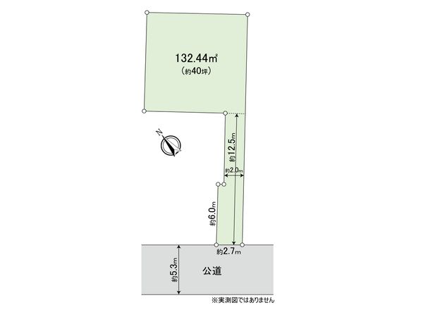
武蔵野市西久保1丁目土地
11,200万円
建築条件無し
武蔵野市西久保1丁目 / 中央本線 三鷹駅 徒歩11分
132.44㎡ / 建ぺい率40% / 容積率80%
NEW
売地



西東京市中町2丁目 土地
2,080万円
建築条件無し
西東京市中町2丁目 / 西武池袋・豊島線 保谷駅 徒歩15分
60.72㎡ / 建ぺい率50% / 容積率100%
NEW
売地



小金井市貫井南町3丁目 土地
9,980万円
建築条件無し
小金井市貫井南町3丁目 / 中央本線 武蔵小金井駅 徒歩15分
275.27㎡ / 建ぺい率40% / 容積率80%
NEW
売地



東大和市清水4丁目 土地
2,580万円
建築条件無し
東大和市清水4丁目 / 西武多摩湖線 武蔵大和駅 徒歩12分
113.85㎡ / 建ぺい率50% / 容積率100%
NEW
売地



祖師谷5丁目 土地 B区画
7,780万円
建築条件無し
世田谷区祖師谷5丁目 / 小田急電鉄小田原線 成城学園前駅 徒歩20分
105.41㎡ / 建ぺい率40% / 容積率80%
NEW
売地



祖師谷5丁目 土地 A区画
7,780万円
建築条件無し
世田谷区祖師谷5丁目 / 小田急電鉄小田原線 成城学園前駅 徒歩20分
105.41㎡ / 建ぺい率40% / 容積率80%
NEW
売地



弦巻3丁目 土地
11,900万円
建築条件無し
オープンハウス
世田谷区弦巻3丁目 / 東急田園都市線 桜新町駅 徒歩12分
85.96㎡ / 建ぺい率60% / 容積率200%
新価格
売地



三鷹市上連雀6丁目 土地
6,980万円
建築条件無し
オープンハウス
三鷹市上連雀6丁目 / 中央本線 三鷹駅 徒歩22分
124.51㎡ / 建ぺい率40% / 容積率80%
新価格
売地



経堂3丁目 土地
9,400万円
建築条件無し
世田谷区経堂3丁目 / 小田急電鉄小田原線 経堂駅 徒歩10分
78.12㎡ / 建ぺい率60% / 容積率150%
新価格
売地



東大和市新堀3丁目 土地
1,980万円
建築条件無し
東大和市新堀3丁目 / 西武拝島線 東大和市駅 徒歩17分
99.34㎡ / 建ぺい率50% / 容積率100%
新価格
売地



上北沢1丁目 土地
11,480万円
建築条件無し
世田谷区上北沢1丁目 / 京王電鉄京王線 上北沢駅 徒歩7分
132.98㎡ / 建ぺい率50% / 容積率100%
新価格
売地



桜上水1丁目 土地
8,780万円
建築条件無し
世田谷区桜上水1丁目 / 小田急電鉄小田原線 経堂駅 徒歩12分
81.85㎡ / 建ぺい率50% / 容積率100%
新価格
売地



小金井市前原町2丁目 土地
3,480万円
建築条件無し
小金井市前原町2丁目 / 中央本線 武蔵小金井駅 徒歩18分
75.5㎡ / 建ぺい率40% / 容積率80%
新価格
借地権
購入申込あり



新町1丁目借地
4,480万円
建築条件無し
世田谷区新町1丁目 / 東急田園都市線 桜新町駅 徒歩13分
82.4㎡ / 建ぺい率50% / 容積率100%
新価格
売地



新宿区西新宿4丁目 土地
5,400万円
建築条件無し
新宿区西新宿4丁目 / 都営大江戸線 西新宿五丁目駅 徒歩5分
36.36㎡ / 建ぺい率60% / 容積率300%
新価格
売地



府中市分梅町2丁目 土地
2,680万円
建築条件無し
府中市分梅町2丁目 / 京王電鉄京王線 分倍河原駅 徒歩11分
69.44㎡ / 建ぺい率40% / 容積率80%
売地



日野市西平山5丁目 土地
3,380万円
建築条件無し
オープンハウス
日野市西平山5丁目 / 八高線 北八王子駅 徒歩17分
260.85㎡ / 建ぺい率40% / 容積率80%
売地



足立区綾瀬4丁目土地
5,480万円
建築条件無し
足立区綾瀬4丁目 / 東京メトロ千代田線 綾瀬駅 徒歩4分
91.43㎡ / 建ぺい率80%・80%・60% / 容積率500%・300%・300%
売地



練馬区練馬2丁目 土地
12,500万円
建築条件無し
練馬区練馬2丁目 / 西武池袋・豊島線 練馬駅 徒歩5分
105.54㎡ / 建ぺい率50% / 容積率100%
売地



中野区野方6丁目 土地
13,000万円
建築条件無し
中野区野方6丁目 / 西武新宿線 野方駅 徒歩5分
167.32㎡ / 建ぺい率60% / 容積率150%
売地



台東区清川1丁目 土地
4,680万円
建築条件無し
台東区清川1丁目 / 東京メトロ日比谷線 南千住駅 徒歩15分
49.88㎡ / 建ぺい率80% / 容積率400%
売地



シティガーデン練馬関町北二丁目 5区画
6,800万円
練馬区関町北2丁目 / 西武新宿線 武蔵関駅 徒歩4分
94.28㎡ / 建ぺい率50% / 容積率100%
売地



豊町4丁目土地(更地渡し)
15,380万円
建築条件無し
オープンハウス
品川区豊町4丁目 / 東急大井町線 下神明駅 徒歩6分
91.49㎡ / 建ぺい率60% / 容積率200%
売地



足立区扇1丁目 土地
9,680万円
建築条件無し
足立区扇1丁目 / 日暮里舎人ライナー 扇大橋駅 徒歩2分
229.13㎡ / 建ぺい率60% / 容積率200%
売地



武蔵野市吉祥寺本町4丁目 土地
52,800万円
建築条件無し
武蔵野市吉祥寺本町4丁目 / 中央本線 吉祥寺駅 徒歩9分
325.22㎡ / 建ぺい率50% / 容積率100%
売地



府中市本宿町1丁目 土地
15,800万円
建築条件無し
府中市本宿町1丁目 / 南武線 西府駅 徒歩2分
220.07㎡ / 建ぺい率80% / 容積率300%
売地



板橋区成増4丁目古家付土地
9,980万円
建築条件無し
板橋区成増4丁目 / 東武東上線 成増駅 徒歩9分
170.42㎡ / 建ぺい率60% / 容積率200%
近くの都道府県の土地一覧を見る
エリアから探す
他の都道府県から探す
人気の価格帯・立地・特徴から探す
マンションライブラリー
マンションライブラリー
全国で分譲されたマンションをご紹介
全国で分譲された7万棟超のマンションを
エリアごとにご紹介します。売り出し中・
貸し出し中の物件情報も掲載しております。

不動産売却で失敗しないためのポイント
不動産売却に関するお問い合わせ
無料査定で価格をチェック!
まずは気軽に無料査定。業界最大級のネットワークを誇る三井のリハウスがご提案いたします。リハウスAI査定
豊富な取引実績をもとにご所有不動産の推定成約価格※を即時にAIで査定します。
※当社保有データから機械的に算出した参考価格です




